项目背景
宝山区张华浜东排水系统位于上海宝山区东部,东临黄浦江,南侧与杨浦区相邻,服务面积约287.65hm2,根据《宝山区张华浜东排水系统专业规划》,张华浜东排水系统为分流制雨水强排系统。

张华浜东片区现状地形平坦,地区开发以居住、商业及绿化用地为主。目前,已建的雨水管道设计标准偏低,整个片区内未形成完整的排水系统。结合《吴淞工业区转型发展规划》,张华浜东片区为规划上海北部新城“吴淞科创城”的重要组成部分。因此,为解决片区排水的需求,提高城市排水防涝的标准,保障人民群众的生命财产安全,张华浜东排水系统工程的建设迫在眉睫。
项目规模
根据《宝山区张华浜东排水系统工程可行性研究报告》,张华浜东排水系统系统雨水泵站设计规模为20.8m3/s,暴雨重现期5a;污水泵站设计规模为0.8万m3/d;为控制初期雨水径流污染,新建调蓄池一座,调蓄标准5mm,调蓄容积12000m2。排水系统合建泵站及调蓄池位于宝山区东张家宅,军工路地道泵站南侧,现状铁路何杨支线北侧,泵站占地约6301.5m2,雨水经提升后排入黄浦江。根据上海市水务局相关规定,在雨水泵站内设置旱流污水截流设施,截流污水通过新建污水泵站提升,最终至合流一期进水闸门井。
工程重点及难点
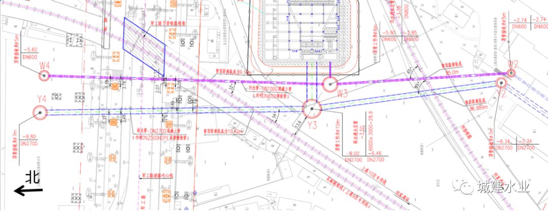
张华浜东排水系统工程建设周边环境复杂,泵站周边被现状何杨支线、吴淞联络线及上港九区专用线环绕,泵站进出水总管需穿越现状铁路、军工路下穿地道及上港集团集装箱码头,且应做好军工路沿线公用管线及原水管保护。结合项目前期规划、项建书及工可报告情况,本工程的重点及难点主要如下:
涉铁节点:根据张华浜东排水系统泵站选址被现状何杨支线、吴淞联络线及上港九区专用线环绕,系统泵站进出水总管共8处穿越现状3条货运铁路。因此,在工程设计方案的选取应降低对现状铁路的影响,确保现状铁路的安全。
军工路码头拆建:结合系统泵站用地选址及雨水泵站出水箱涵选线,泵站雨水需穿越现状上港集团军工路码头至黄浦江排放。排放口的建设应结合码头情况制定拆建方案,尽量减少码头占用,确保码头结构安全及施工期间正常运行,并使出水口建成后对黄浦江河床、河岸等设施及水环境等产生的影响最小。
军工路快速路新建工程:军工路快速路新建工程起于军工路-逸仙路立交,沿现状军工路向东南方向延伸,终于中环线军工路-翔殷路立交(下称翔殷路立交),全长约7.5km。张华浜东排水系统应结合军工路快速路工程同步实施。
现状合流一期箱涵接入点:张华浜东排水系统污水需经合流一期总管转输至竹园污水处理厂,现状合流一期建设年代久远,其接入节点方案需重点研究。
总体设计
张华浜东雨水系统规划新建DN1000~Φ2700雨水管道约1635m,雨水管道分两路总管,其中军工路以北张华浜东片区总管沿规划道路敷设DN1000~Φ2700雨水管道,由东向西穿越铁路及现状军工路下穿地道接入规划雨水泵站。另外一路总管,主要解决何家湾南片区及新江湾片区雨水,规划沿国学路-淞行路-瑞吉路敷设Φ1650~Φ2700雨水管道,穿越铁路接入规划雨水泵站。两路雨水总管转输雨水经泵站提升后,通过雨水箱涵穿越军工路下穿地道及现状上港九区军工路码头至黄浦江排放。
污水总管分为两路,其中东侧污水总管主要收集张华浜东片区北侧地块污水,污水管道经规划一路转输,由东向西穿越现状军工路下穿地道至规划污水泵站,管径为DN400~DN600。另外一路总管主要收集何家湾南片区、新江湾片区及张华浜东片区南侧地块污水,污水经淞行路、国阅路至瑞吉路,经瑞吉路污水管道转输至规划污水泵站。区域污水经泵站提升后,沿军工路新建DN600压力管道至合流一期箱涵。
张华浜东系统泵站位于军工路下立交泵站旁,南侧与何杨支线铁路平行,北侧与军工路平行,西侧边界与上港九区铁路平行,东侧边界位于现状东张家宅内,东西宽约104.5m,南北长约43.2m~68.3m。泵站用地形状不规则,且又要同时布置雨水泵站、污水泵站、雨水调蓄池及管理用房等附属构建筑物,因此,在泵站总体布置上不仅用地较为紧张,而且周边的铁路和军工路地道对环境保护要求也较高。

为节省用地,本工程将雨水泵站和污水泵站合建,并将泵站站体位于调蓄池上部,采用上下叠加的集约化设计方式,平面净尺寸为50.5m×43.6m。张华浜东系统泵站内由雨水主泵房、污水主泵房、雨水出水高位闸门井、雨水出水箱涵、地下调蓄池、变配电间及开关站、门卫及垃圾房等组成。根据规划,张华浜东雨、污水泵站各有两路进水总管,一路穿军工路地道和上港铁路由北向南至泵站,一路穿何杨支线由南向北至泵站。为减少对现状铁路及军工路的影响,雨污水进水总管均采用“顶管+内衬管”施工。泵站总平面布置图见下图。

张华浜东泵站站内设置环形道路,道路设计宽度4~7m,转弯半径9m,道路设计平均标高4.20m。泵站内绿化不小于30%,同时根据《上海市水务设施(厂/站)海绵城市建设技术导则》的要求,设置透水铺装、雨水花园等海绵设施,满足年径流控制率75%的要求。
主要工程节点
上港集装箱码头节点:张华浜东排水系统泵站工程排放口需穿越现状防汛墙,泵站排放口拟建位置上海集装箱码头有限公司军工路1~5泊位改建工程1泊位的后方。该位置位于码头最北侧,最大限度减少对现状码头的影响,管道均采用顶管施工,尽量减少施工作业面影响。且利用水力模型软件分析排放口对现状码头冲刷及船舶停靠进行模拟,经论证新建排放口建成后可满足码头正常运行要求。

涉铁工程节点:张华浜东排水系统泵站位于军工路下立交泵站旁东张家宅处,泵站用地南侧与何杨支线铁路平行,泵站北侧与军工路平行,泵站西侧边界与上港九区铁路平行。为满足铁路正常运行要求,本工程铁路穿越节点均采用顶管施工,且管道均设置内衬管确保管道运行安全。采用采用MIDAS-NX进行三维模拟计算,确保施工期间对军工路现状高架变形影响在安全范围内。

合流一期接入节点:张华浜东排水系统污水出路为合流一期箱涵,本工程沿军工路新建DN600污水管道至合流一期闸门井。为减少对合流一期箱涵的影响,污水压力管穿越中原河后顶管至合流一期闸门井,过闸门井后沿井壁至闸门井上部跌入合流一期箱涵闸门井,可避免对现状合流一期箱涵结构的破坏。

原水管节点:现状DN2400原水管位于何杨支线南侧沿何杨支线由西向东敷设。本工程拟实施南侧DN2700雨水进水总管、南侧DN1000污水进水总管(内衬DN600),需从现状原水管底部顶管穿越。
另国江路军工路路口,本工程拟实施国江路DN1200雨水管及DN400污水管需从现状雨水管上部穿越,上述四处管道与现状雨水管为交叉关系。
故结合《上海市原水引水管保护办法》适当采取注浆加固结合横列板支护加固等安全措施,确保现状原水管安全运行。
泵站工艺设计
为节约用地张华浜动排水系统雨水泵房、污水泵房与调蓄池合建。水泵采用平行布置,水泵中心间距3.4m,泵房下部结构平面尺寸为50.5×28.7m(内净尺寸),泵房深10.7m。
雨水泵站集水井内设置钢丝绳牵引格栅除污机4套,每组宽2500mm,格栅槽宽2700mm,栅条间距80mm,安装角度75º。
污水泵站集水井内设置回转式格栅除污机2套,每组宽600mm,格栅槽宽700mm,栅条间距20mm,安装角度75º。
调蓄池位于泵站下部,尺寸为50.5×43.6m(内净尺寸),深度为15.2m(泵站下部深度3.7m)。共设置9条廊道,采用9套门式冲洗设备。

总结
张华浜东排水系统工程周边建设条件复杂,涉及现状何杨支线铁路、上港集装箱码头、合流一期箱涵、原水管保护等重大工程节点。工程结合泵站用地及周边环境的实际情况,泵站及调蓄池的布置采用上下叠加的方案,减少对周边环境影响,站内构建筑物的布局相协调,保证泵站及调蓄池的运行安全可靠,管理方便。张华浜东系统泵站的实施,不仅可以解决排水系统服务范围内排水出路的问题,保障区域排水安全;污水的有序收集也可以改善城市市容环境,使人民更加安居乐业,促进社会安定团结,吸引人群居住,带动地区产业发展。因此,本工程的施工具有明显的环境、社会及经济效益。
文字采编 / 耿晓洒
编图排版 / 姜莉
校对审核 / 牟晋铭 郁片红



